Bouwgrond in Denderleeuw

€ 84.000


Sportstraat, 9470 Denderleeuw

  • 196 m²
Waze
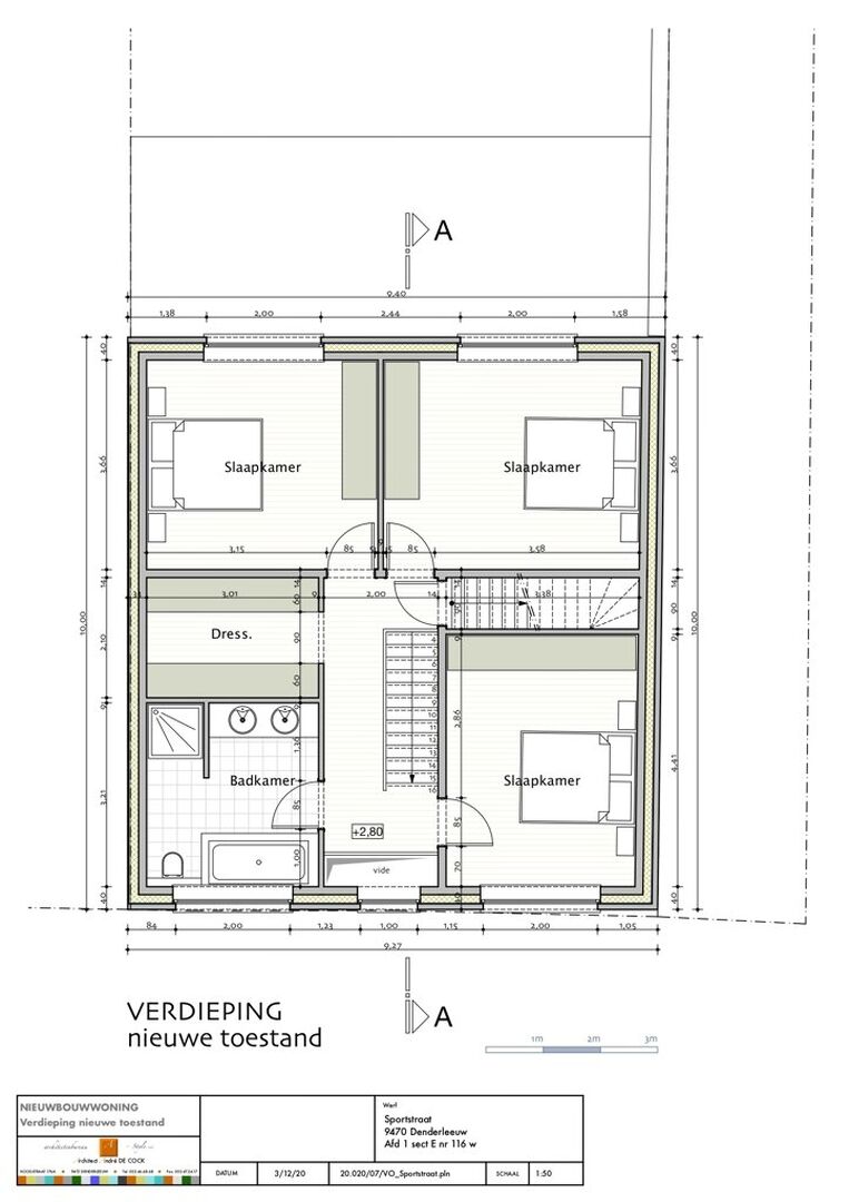
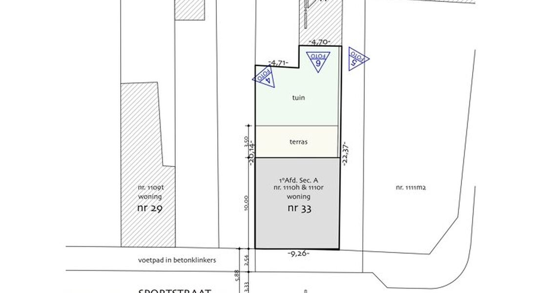
Deze bouwgrond van ongeveer 200 m² is gelegen in een rustige straat in Denderleeuw en beschikt over een straatbreedte van 9,26 meter. Het perceel leent zich uitstekend voor de bouw van een ééngezinswoning en is ideaal voor wie op zoek is naar een compacte maar goed gelegen bouwgrond. Er werd reeds een woning ontworpen op maat van dit perceel, wat het proces voor toekomstige bouwplannen aanzienlijk vereenvoudigt. De locatie combineert een rustige woonomgeving met een vlotte bereikbaarheid. Winkels, scholen en openbaar vervoer bevinden zich op korte afstand, en ook de E40 richting Gent en Brussel is snel bereikbaar.
Deze grond biedt een mooie kans voor wie snel en efficiënt wil bouwen in een goed ontsloten buurt.

Geïnteresseerd? Voor meer informatie of een afspraak, neem contact op met Hannes op 0476/67.79.87 of via hannes@immo-optima.be.
Niet gelegen in overstromingsgebied G-score: C P-score: C
(Gvg - Wg - Gmo - Gvkr - Gvv)

financieel

Prijs
€ 84.000
Beschikbaarheid
Vanaf akte

terrein

Perceel oppervlakte
196 m²
Terreindiepte
22 m

stedenbouwkundige informatie

Bestemming
Woongebied
Bouwvergunning
Nee
Verkavelingsvergunning
Nee
Voorkooprecht
Nee
Dagvaarding
Geen rechterlijke herstelmaatregel of bestuurlijke maatregel opgelegd
Hannes De Donder

Hannes De Donder

0476 67 79 87

Contacteer ons

Interesse in deze eigendom?

Hannes De Donder

Hannes De Donder

0476 67 79 87

ref: 7662957

Gelieve uw aanspreking in te vullen
Gelieve uw voornaam in te vullen
Gelieve uw naam in te vullen
Gelieve uw e-mail in te vullen
Gelieve uw telefoon in te vullen
Gelieve uw uw bericht in te vullen
Gelieve akkoord te gaan met onze algemene voorwaarden

Blijf op de hoogte

Schrijf u in

Op zoek naar iets specifiek? Laat uw zoekwensen hier achter en we zorgen ervoor dat u het juiste aanbod als eerste in uw mailbox krijgt

Gratis schatting

Wil u graag de échte verkoopwaarde van uw woning kennen? Vraag nu een gratis schatting voor verkoop!

Vraag hier aan
Gratis schatting

Wenst u te verkopen

U wil uw woning, appartement of bouwgrond snel en zorgeloos verkopen aan een goede prijs? Dan bent u bij Optima uit Opwijk aan het juiste adres.

Ik wil verkopen
Gratis schatting